The tides are turning in a quest to solve an earthquake mystery.

Years ago, scientists realized that earthquakes along mid-ocean ridges — those underwater mountain ranges at the edges of the tectonic plates — are linked with the tides. But nobody could figure out why there’s an uptick in tremors during low tides.

“Everyone was sort of stumped, because according to conventional theory, those earthquakes should occur at high tides,” explained Christopher Scholz, a seismologist at Columbia University’s Lamont-Doherty Earth Observatory.

In a study published today in Nature Communications, he and his colleagues have uncovered the mechanism for this seeming paradox, and it comes down to the magma below the mid-ocean ridges.

“It’s the magma chamber breathing, expanding and contracting due to the tides, that’s making the faults move,” said Scholz, who co-led the study along with Lamont-Doherty graduate student Yen Joe Tan.

Read more at Earth Institute at Columbia University

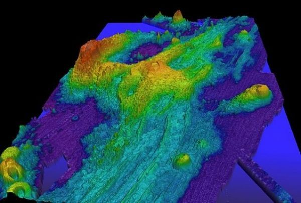
Image: The Axial Volcano off the coast of Oregon on the Juan de Fuca Ridge. In a new study, researchers used data from this volcano to determine how low tides cause earthquakes along mid-ocean ridges. (Image Credit: NOAA Photo Library)